13 января 2026, вторник, 3:49
Поддержите
сайт
Сим сим,
Хартия 97!
Рубрики

Американский ученый рассказал о настоящих размерах Марианской впадины

8
Американский ученый рассказал о настоящих размерах Марианской впадины
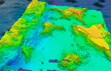
Трехмерная карта дна Марианской впадины
Фото : University of New Hampshire Center for Coastal and Ocean Mapping/Joint Hydrographic Center

Есть три метода измерения ее глубины.

Американский океанограф, сотрудник Института океанографии имени Скриппса (Сан Диего, Калифорния) Дэвид Сэндуэлл рассказал РИА Новости об особенностях изучения глубин, он считает полезным свести воедино данные, получаемые при замерах глубины Марианской впадины, пишет ria.ru.

Марианская впадина (Марианский желоб) – узкая депрессия (ложбина) на дне Тихого океана (в его западной части), самая глубокая в мире, протянулась вдоль Марианских островов на 1340 километров, имеет V-oбразный профиль и крутые асимметричные склоны. Она была обнаружена в 1875 году британской экспедицией, проводившей первые системные промеры глубин в Тихом океане на океанографическом судне "Челленджер". Самая глубокая точка в Марианской впадине находится на западе Тихоокеанского бассейна, она располагается в 1,8 тысячи километрах от Филиппин в юго-западной стороне впадины. Это место получило название Бездна Челленджера (Challenger Deep).

"Много судов, оснащенных эхолотами, посещали это место. Было бы хорошо свести различные результаты воедино, но пока я не видел такого", - прокомментировал Сэндуэлл агентству недавний спуск российского глубоководного аппарата "Витязь" на глубину 10 028 метров в районе Марианской впадины.

Погружение российского аппарата состоялось 8 мая. Как сообщило по его результатам Российское географическое общество, "Витязь" провел картографирование, фото- и видеосъемку морского дна, изучил параметры морской среды. В Фонде перспективных исследований (ФПИ), курировавшем погружение, в свою очередь заявили, что аппарат погрузился на дно впадины. В ФПИ указали, что более ранние исследования установили, что глубина впадины достигает 11 022 метров.

"Насколько я знаю, (известный) показатель глубины Бездны Челленджер не изменился настолько, чтобы выйти за рамки (допустимой) погрешности", - прокомментировал океанограф предположение ФПИ о том, что глубина, достигнутая "Витязем" "уточнила" глубину Марианской впадины на тысячу метров.

Сэндуэлл рассказал, что сегодня существует два способа измерения глубины, различных как по методу, так и по степени точности результата. Во-первых, это звуколокация, замер времени, которое требуется звуковому импульсу, чтобы достичь дна и вернуться обратно. "В этом случае также необходим замер скорости звука, а этот показатель может стать наиболее вероятной причиной для ошибки", - отметил эксперт.

"Более точным подходом является измерение давления на дне. В этом случае вам необходимо знать плотность воды в колонне над вами, а также изменения гравитационного воздействия в зависимости от глубины", - рассказал специалист. По его словам, хотя в таких расчетах легко ошибиться, но если этого не произошло, погрешность расчетной глубины не превысит 10 метров.

Как ранее рассказал РИА Новости руководитель лаборатории глубоководных аппаратов Института океанологии РАН Анатолий Сагалевич, самой глубокой точкой Марианской впадины является бездна Челленджера. Ее глубину с небольшой погрешностью неоднократно замеряли различные глубоководные аппараты: японский необитаемый аппарат определил 11 тысяч 7 метров, американцы - 11 тысяч 3 метра. Примерно такую же глубину, около 11 тысяч метров, определяли все обитаемые аппараты, которые удалость спуститься в Бездну Челенджера.

Написать комментарий 8

Также следите за аккаунтами Charter97.org в социальных сетях